BluGlacier- which is jointly owned by Blumar and Ventisqueros – have narrowly missed the storm and the impact is – for now – minimal.
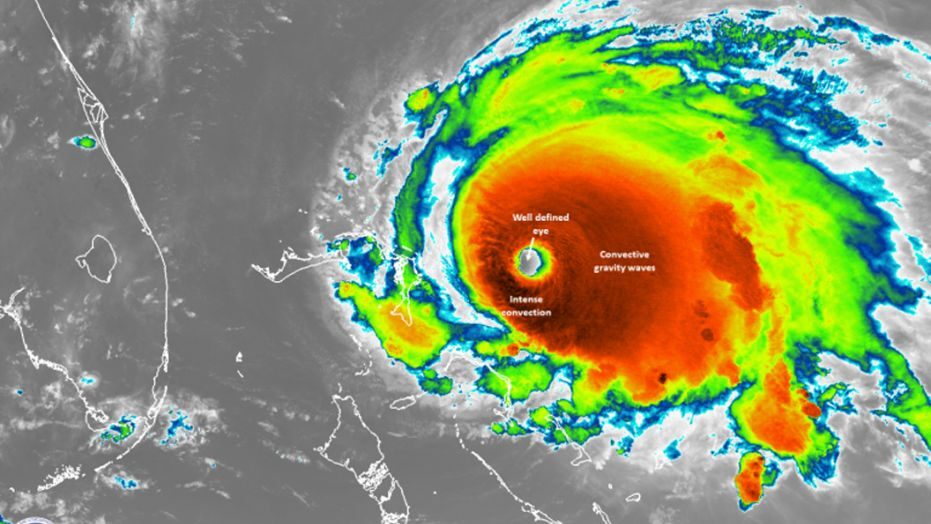
The US import and sales joint venture BluGlacier prepared for the worst as the Category 4 Hurricane Dorian narrowly missed Florida which it has a US base.
Earlier on Tuesday, SalmonBusiness reported that one of the world’s largest land-based salmon farming projects in Miami, Atlantic Sapphire had initiated Hurricane preparation measures.
The National Weather Service posted that the storm is now is 65 miles away from Miami.
In an email to SalmonBusiness BluGlacier CEO Sebastian Goycoolea wrote: “Thank god, Miami has not been hit by the hurricane but it is still under alert, but all models show that is heading north. The only effect we had is that we cut fresh production by the end of last week affecting the fish arriving over the weekend and Monday this week. We are starting this week with normal production hoping all will be normal by Wednesday when we start receiving this week production.”
BluGlacier’s parent companies Salmones Blumar and Ventisqueros produce more than 14,000 tonnes of farmed Atlantic salmon annually.

